Tajfun Haiyan Preživjeli na Filipinima tragaju za hranom, vodom i lijekovima Tajfun Haiyan pogodio je Filipine s vjetrovima koji su puhali jače od 300 kilometara na sat te je uzrokovao valove visoke do tri metra
Hrvat s Filipina: Ovaj je tajfun kao tsunami Uvijek, ali baš uvijek najavi se dolazak tajfuna. Meteorološke službe ovdje rade besprijekorno. I ovaj su put naredili evakuaciju. Ali ljudi ne žele iz domova, ne žele ostaviti svoju imovinu. Tajfun je bio jači nego obično i zato se dogodila ovakva katastrofa – rekao je Hrvat Želimir Strugar koji živi na Filipinima otkuda mu je i supruga.
Video sadržaj 3 Razorio sve pred sobom Smrtonosni tajfun odnio više od 10.000 života Sebastian Rhodes Stampa iz UN-a opisao je kako su mnogi auti pobacani po ulicama koje su zatrpane ciglama.
Video sadržaj Oluja svih oluja VIDEO: Više od 1000 mrtvih? Ovo je najjači tajfun zabilježen u 2013.! Najveća oluja ikad zabilježena "pomela" je Filipine i za sobom ostavila najmanje 100 tijela poginulih osoba, razrušene kuće i stabla.
Video sadržaj 2 140 tona Pogledajte kako je izgledao prijevoz transformatora! Transformator je vrijedan oko 5,5 milijuna eura, a cijela kompozicija koja je prevezla transformator od tvornice do aerodroma teška je gotovo 400 tona
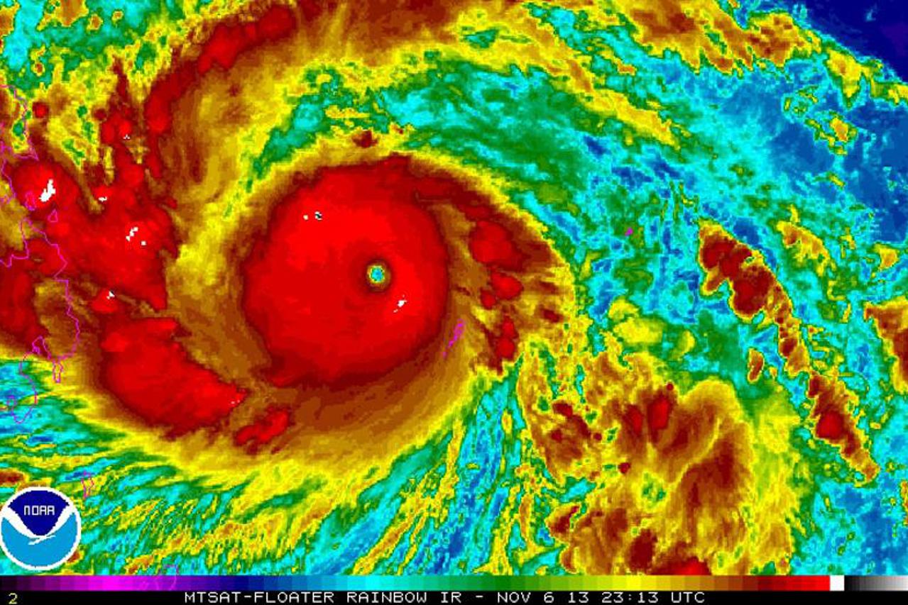
Video sadržaj Oluja svih oluja Supertajfun Haiyan stigao na Filipine Vlasti upozoravaju kako je u opasnosti više od 12 milijuna ljudi, uključujući i stanovnike grada Cebu
Video sadržaj 7 Velika opasnost Najjači tajfun na svijetu krenuo prema Filipinima! Haiyan je u srijedu ujutro prerastao u supertajfun sa maksimalnim brzinama vjetra od 280 kilometara na sat i sada ova izuzetno opasna oluja je prerasla u najjači tropski sustav u svijetu u ovoj godini.
NESTALO 33 LJUDI U snažnom potresu na Filipinima poginulo najmanje 93 ljudi Epicentar potresa bio je oko 600 kilometara jugoistočno od Manile, na dubini od oko 20 kilometara
Izbor u Baliju Filipinka nova Miss svijeta, Lana Gržetić ni među 30 najljepših! Miss Francuske Marine Lorphelin je proglašena prvom pratiljom, a miss Gane Carranzar Naa Okailey Shooter je treća. Naša misica, 18-godišnja Lana Gržetić, nije se plasirala niti u Top 30.
Spašeno 750 ljudi U sudaru trajekta i teretnog broda na Filipinima poginulo 55 ljudi Obalna straža izvijestila je kako je spašeno 750 ljudi dok se još 65 vodi kao nestalo.