IZ MINUTE U MINUTU
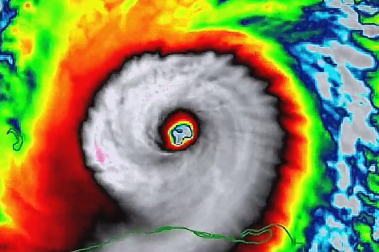
Strava na Floridi: Uragan Milton ostavlja pustoš, 10 života izgubljeno, milijuni bez struje
Značajno upozorenje na bujične poplave koje su opasne po život izdano je za gotovo dva milijuna ljudi, a uključuje Tampu, St. Petersburg i Clearwater. Reporteri CNN-a javili su kako se u Tampi odvodi, kanalizacija i kanali počinju prelijevati, dižući vodu na ulice, dok su udari vjetra ponekad toliko jaki da tresu zidove i prozore.